Flowering 2012
Now six weeks into the growing season, it's clear that 2012 is going to follow a different path than 2010 or 2011. As opposed to being en route to a harvest roughly a month behind normal, as we were last year, we're on a normal track. There are four viticultural points that we use each year as markers: visible reference points that indicate where we are compared to other years. These are, in order:
- Budbreak (typically April sometime)
- Flowering (typically May sometime)
- Veraison (typically August sometime)
- First Harvest (typically September sometime)
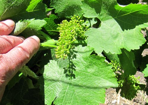
Last year, we'd just begun flowering when I published the post Flowering (Finally) on June 6th. This year, the first week of June finds us largely finished with flowering. On May 23rd, when my dad took an afternoon to wander through the vineyard and catch a few different grapes in flower, we were squarely in mid-flowering. First, Grenache:

Second, at roughly the same stage, Grenache Blanc:

And third, showing its characteristic small clusters, Viognier:

If you haven't seen grapevines flowering before, you can be excused for finding it underwhelming. It's not a showy process. Still, the tiny white flowers that appear at each berry are crucial for the development of the berries. From this point on, if the berries are fertilized successfully, they'll grow in size and mass until their August veraison, at which point they stop growing but accumulate sugar and ripen the seeds within.
During flowering, you hope for consistent, sunny weather, with only limited wind and no rain. The risk is that you might get incomplete fertilization, or shatter, where a cluster has only a minority of fertilized berries, looking snaggle-toothed and (often dramatically) reducing yields. Some varieties, most notably Grenache, are prone to shatter, while others are less so. This year, we're expecting some shatter, as we received a little rain on May 25th and unusually high winds that same week, but it shoudn't be anything too devastating. Compared to what grapevines face in most parts of the world, what we've received is minor.
Overall, the year is off to an excellent start. We largely avoided frost (though did see just a touch of damage on the impossibly late date of May 26th). We've had consistent sun and good warmth without any 100+ degree days. Our degree day measurements so far in 2012 show us about 12% above the 15-year average since April 1st, but 48% ahead of 2010 or 2011. Still, it's far from the hottest beginning to the year we've had; five of the last fifteen years have seen a higher degree day reading, and we're 21% below the degree days from the scorching start to our hottest vintage: 1997.
So far, so good.